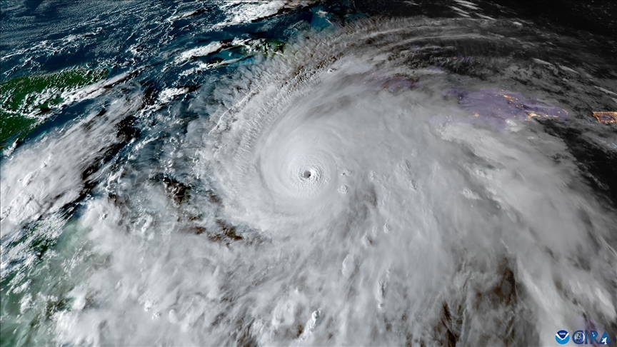
Hurricane Melissa hits Jamaica with winds estimated at 185 mph